Many people would not think of Cliff for snorkeling. I didn’t, but my guide on my first visit in 2023 suggested a quick snorkel that paid off.
There’s a nice pier at Cliff that makes water entry decent. You do have to descend about 6 wide stairs behind a dive shop, or use a ladder by Hamlet Oasis.

Cliff gets its name from a steep underwater drop-off not too far from the shore. Historically, this was a nice wall of corals. In 2023, I could see some of what appealed to divers. The left edge of the picture is probably 20 ft deep and falling rapidly toward the right.

The first time I was at Cliff, I hadn’t yet discovered weights and freediving, so pictures took much more effort to get. Diving down, I captured this stovepipe sponge in the middle of some lobed star coral and a diverse bunch of sea plumes and rods. There’s a school of chromis in the distance (brown with one blue chromis).

I saw my first barracuda, which was intimidating! I’ve since seen them much more frequently and am better about not being intimidated, although I do give them their space. I suspect when they are in shallow waters, they tend to be active and on the hunt, as opposed to in deeper pier areas where they hang motionless in the gloom.

There was a lovely elkhorn coral, surrounded by fields of fire coral. Fire coral is so named because its polyps have specialized “stinging” polyps containing nematocysts, which release a fun little neurotoxin (sarcasm font). Yet another reason to not touch the coral. Here a ubiquitous Princess parrotfish searches for a bite under the elkhorn.

There were some nice sized and healthy brain corals here. Here I was chasing down a shy grouper, so they weren’t the main focus of my picture. That’s unfortunate, as this was pre-SCTLD.

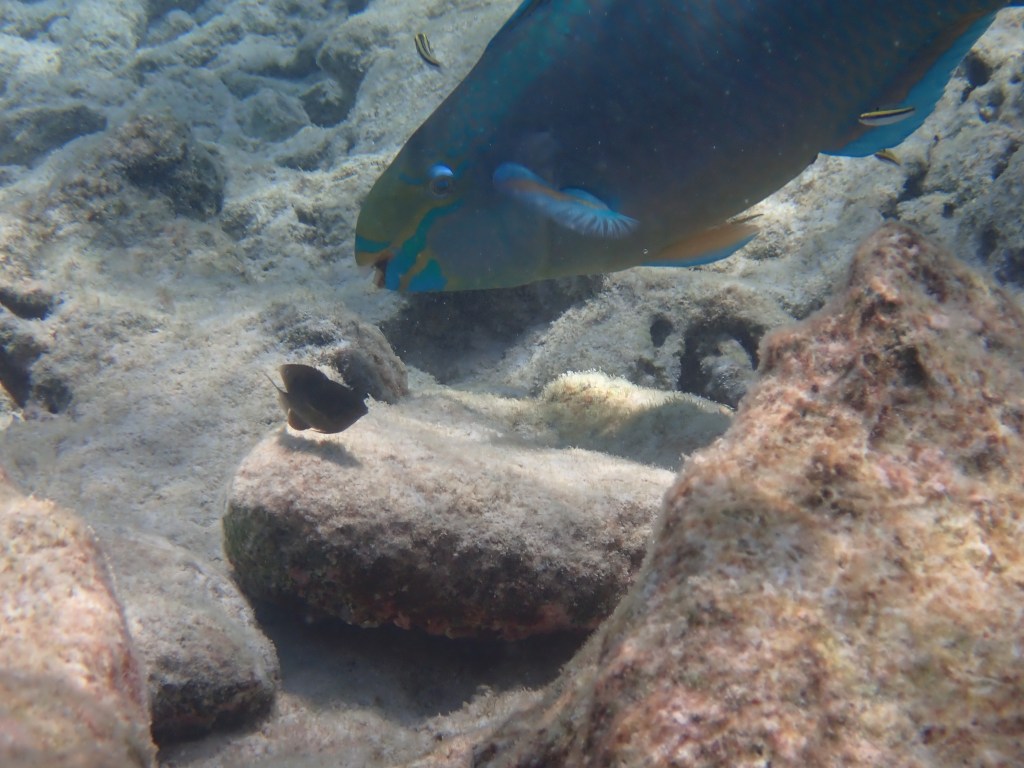
There was also a lot of lobed star coral. They seem to prefer slightly deeper waters, and I’d guess I’m around 12-15 feet. The grunt hiding in the shadows is a fish that is around 6-8 inches, which helps provide size reference for this large outcropping.

I found my first honeycomb cowfish. No mystery how it got it’s name.

in 2023, I also saw one of the only sea cucumbers I’ve ever seen on Bonaire. I don’t know if it is generally inhospitable environment, or there is a trade in them. In Maui, legal and illegal human over-harvesting is a significant problem, so you don’t see many large ones. This one is huge (the 2 inch sharpnose puffer above the coral helps provide size reference), so I wonder if it is more a local environment issue.

CLIFF IN 2024 was a different kettle of fish. Or coral. Actually, less fish, with damaged and dying coral.
Upon entry, I immediately headed to the left, toward a large fire-coral reef. What a difference a year makes! Once again, I was faced with a 17-19 mph wind conditions, which weren’t awful but did cut down visibility. Here’s a dead brain coral foreground to bare reef.

I chased this butterflyfish pair for a bit, trying to get a shot with both of them in it. I was dismayed to see the disease spots on the rightmost one. This picture also shows the condition of the fire and mustard coral, two species that seemed indestructible to me. To the left is some lovely colored fire coral, getting paler and more diseased towards the right. You can see the mustard coral, the small mustard-yellow round bumps on the bottom left and bottom right. They also seem like they are everywhere, but are clearly suffering here. Usually they form a solid ball like mass. You can see the white dead stuff surrounding these two.

I was following this honeycomb cowfish who decided to hide under an overhang (as they do). I didn’t zoom in, because I think this is another one of those that shows the reef condition. Washed out fire corals on top and an absence of life around it.

I did find a small cluster of orange cup coral, which cheered me up.

Here’s a few ‘littles’ (juvie damsel, gobies) in some very bleached out but alive fire coral, and a bleached but healthier star coral. Notice the color on the coral is deeper as the depth increases.

I always try to capture fun shots of the fish I see. I thought this Queen parrotfish looked like it was talking to the damsel. Undoubtedly the damselfish, known for being highly territorial, was saying, “piss off, pal!”

I also found a very large, very dark-patterned doctorfish, very striking with tiger-like stripes. I don’t usually see them this dark.

I was excited to find a lettuce nudibranch. I haven’t found them very often in the Caribbean.

I did a swim over the drop-off as I was following an eagle ray, my first ever! It was very focused on feeding. Initially I followed far behind, having no idea how timid it may or may not be. It seemed to display no concern about me (I credit my whale shark pattern rashguard set from Waterlust), as well as the fact that I was about 15 feet above it, so gradually I relaxed enough to focus on getting good pictures (not just any picture). It would swim for about 25-50 yards, then do a turn, then head in a new direction. I got this shot on one of the turns. Isn’t that vertical eye amazing?

The ray preferred the depths, eventually leading me over the slope down to the deep. I tried to take heart from the percent of green-colored coral down there. Maybe even as high as 30%, which, you know, isn’t 0%. So there was that.

Still, a somewhat sad outing. I tried to take hope from the fact that some varieties were surviving, but I am afraid I am just documenting a slow death.
